Výber jazyka
- sk
- en
- de
Obsah
Program rozvoja obce Zálesie
|
|
|
„ÚZEMNÝ PLÁN A PROGRAM HOSPODÁRSKEHO A SOCIÁLNEHO ROZVOJA OBCE ZÁLESIE“
PROJEKT SPOLUFINANCOVANÝ EURÓPSKOU ÚNIOU ZO ŠTRUKTURÁLNEHO FONDU ERDF Výška finančného príspevku z ERDF: 1 130 500,- Sk Začiatok prác: 01. 12. 2007 Dokončenie prác: 02. 12. 2008 |
Platný PROGRAM HOSPODÁRSKEHO A SOCIÁLNEHO ROZVOJA OBCE
na obdobie rokov 2008 - 2012
|
23.05.2008 |
Územné plánovanie - schválené
Platný ÚZEMNÝ PLÁN obce Zálesie
schválený obecným zastupiteľstvom, uznesením číslo 77/12/2008
(VZN 9/2008)zo dňa 02.12.2008.
|
26.01.2009 |
|
|
|
|
|
|
|
|
|
|
|
|
|
|
|
|
|
|
|
|
|
|
|
|
|
|
|
|
|
|
ÚZEMNÝ PLÁN obce. Vypracovanie urbanistickej štúdie.
Stanoviská a pripomienky k návrhu žiadame podať písomne do 09 septembra 2008 na obecnom úrade v Zálesí.
Verejná vyhláška 11.08.2008 Pozvánka na prerokovávanie - organizácie
|
15.08.2008 |
|
|
|
|
|
|
|
|
|
|
|
|
|
|
|
|
|
|
ÚZEMNÝ PLÁN obce, zadanie (rok 2008)
Návrh zadania pre spracovanie urbanistickej štúdie
Verejná vyhláška 05.05.2008 Oznámenie o začatí prerokovávania
|
05.05.2008 |
|
|
|
IBV Zálesie, obytná zóna NB1 - lokalita "Domky"
Schválená urbanistická štúdia obytnej zóny - čistopis
|
14.02.2010 |
|
|
|
|
|
|
|
|
|
|
|
|
|
|
|
|
|
|
Obytná zóna NB1 Zálesie Domky
Vypracovanie urbanistickej štúdie
|
09.09.2009 |
|
|
|
|
|
|
|
|
|
|
|
|
|
|
|
|
|
|
Obytná zóna NB1 Zálesie Domky I. etapa
Návrh zadania pre spracovanie urbanistickej štúdie
|
28.08.2009 |
|
|
|
|
|
|
|
|
|
Čistopis IBV Zálesie, obytná zóna NB 7 lokalita "Ku kanálu".
Schválená urbanistická štúdia obytnej zóny - čistopis
|
09.03.2010 |
|
|
|
|
|
|
|
|
|
|
|
|
|
|
|
|
|
|
|
|
|
IBV Zálesie, obytná zóna NB 7 lokalita "Ku kanálu"
Vypracovanie urbanistickej štúdie
|
28.11.2009 |
|
|
|
|
|
|
|
|
|
|
|
|
|
|
|
|
|
|
|
|
|
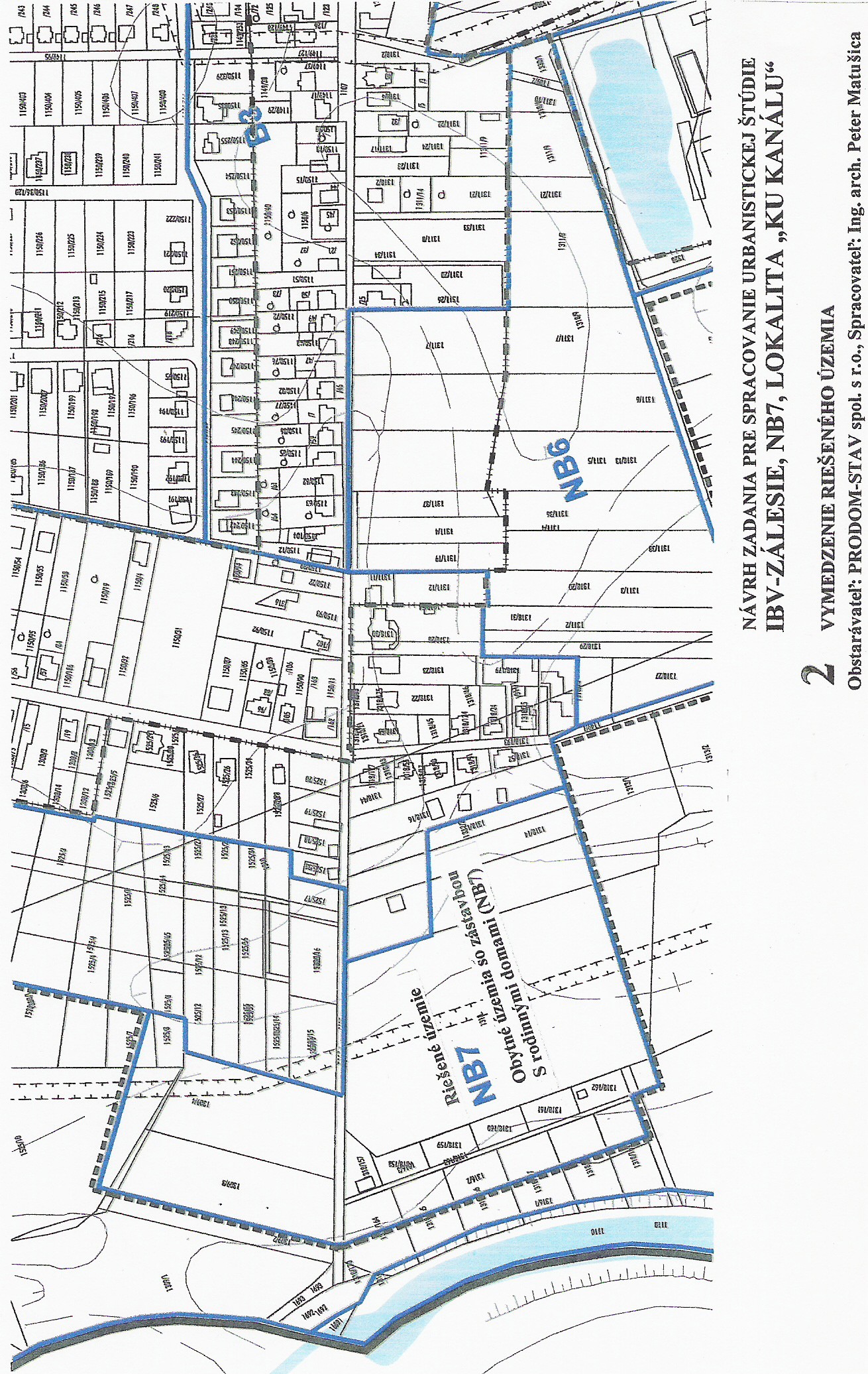
IBV Zálesie NB 7 lokalita "Ku kanálu"
Návrh zadania pre spracovanie urbanistickej štúdie
|
24.09.2009 |
|
|
|
|
|
|
|
|
|
IBV Zálesie, obytná zóna NB 17 - lokalita "U Rusa"
Schválená urbanistická štúdia obytnej zóny - čistopis
|
POPIS |
DOPLNENÉ |
|
19.01.2012 |
|
IBV Zálesie, obytná zóna NB 17 - lokalita "U Rusa"
Vypracovanie urbanistickej štúdie NB17
„Urbanisticko - architektonická štúdia obytnej zóny "U Rusa“.
|
POPIS |
DOPLNENÉ |
|
27.01.2011 |
|
Návrh zadania pre spracovanie urbanistickej štúdie
|
26.02.2010 |
IBV Zálesie, obytná zóna NB a NC - lokalita "Jágerňa I." a "Jágerňa II."
Schválená urbanistická štúdia obytnej zóny - čistopis
|
POPIS |
DOPLNENÉ |
|
Lokalita Jágerňa I. |
19.01.2012 |
|
Lokalita Jágerňa II. |
|
IBV Zálesie, obytná zóna NB a NC - lokalita "Jágerňa"
Vypracovanie urbanistickej štúdie II. etapa
„Urbanisticko - architektonická štúdia obytnej zóny "Jágerňa“.
Pripomienky možno uplatniť do10.11.2011
|
POPIS |
DOPLNENÉ |
|
11.10.2011 |
|
| UŠ Zalesie Jagerna II. etapa Komplexný urban. návrh 2 | |
IBV Zálesie, obytná zóna NB a NC - lokalita "Jágerňa"
Vypracovanie urbanistickej štúdie NB a NC
„Urbanisticko - architektonická štúdia obytnej zóny "Jágerňa“.
|
POPIS |
DOPLNENÉ |
|
03.02.2011 |
|
IBV Zálesie, obytná zóna NB a NC - lokalita "Jágerňa"
Návrh zadania pre spracovanie urbanistickej štúdie
|
11.06.2010 |
Zmeny a doplnky č. 2/2013
Prerokovanie návrhu zmien a doplnkov
Schválená urbanistická štúdia obytnej zóny - čistopis
Pripomienky možno uplatniť do 01.04.2013
|
POPIS |
DOPLNENÉ |
|
Vyhlásenie záväznej časti územnoplánovacej dokumentácie zmeny a doplnky č 2 |
15.11.2013 |
|
01.03.2013 |
|
| Zmeny-doplnky_C2_textova_cast | |
Rozpracované územia
IBV Zálesie, obytná zóna NB19 - lokalita "Pri jazere II."
Zmeny a doplnky č. 1/2011
Prerokovanie návrhu Územného plánu obce Zálesie – Zmeny a doplnky č. 1/2011
Prerokovanie návrhu Urbanistickej štúdie obytnej zóny Zálesie - Pri jazere II.
Pripomienky možno uplatniť do15.12.2011
|
POPIS |
DOPLNENÉ |
|
15.11.2011 |
|
|
US_Zalesie_Pri_jazere_II_Oznámenie_o_prerokovaniZadanie 1-2011 + Rozdelovnik |
|
|
Zmeny a doplnky č. 1/2011 |
|
IBV Zálesie, obytná zóna NB 14 - I etapa
Vypracovanie urbanistickej štúdie
|
29.10.2010 |
|
|
|
|
|
|
|
|
|
|
|
|
|
|
|
|
|
|
|
|
|
IBV Zálesie, obytná zóna NB 14 - I. etapa
Návrh zadania pre spracovanie urbanistickej štúdie
|
03.12.2009 |
Dodatok
ÚZEMNÝ PLÁN schválený OZ Zálesie dňa 15.08.1996 číslo 49/96
|
|
|
|
















